The second nature reserve I visited just outside of Vienna was near Pfaffstätten, a dry partly wooded hill again on limestone and with an amazing diversity of plants and as many as 1,200 butterflies and moths. Among the birds, woodlark breeds here, although I didn’t see it! Thanks to Simon for finding the time to take me to this precious place which included the amazing Adriatic Lizard Orchid!
Salvia nemerosa
Sambucus ebulus, the berries of which are widely believed to be poisonous, but I remember Maria Tariyska in Bulgaria telling me they were used there…
The destination was this limestone hillock
Saponaria officinalis, soapwort
Nature reserve
Just by the path near the entrance to reserve, this incredible flower was growing, the Adriatic Lizard Orchid (Himantoglossum adriaticum)
Adriatic Lizard Orchid, Himantoglossum adriaticum
Adriatic Lizard Orchid, Himantoglossum adriaticum
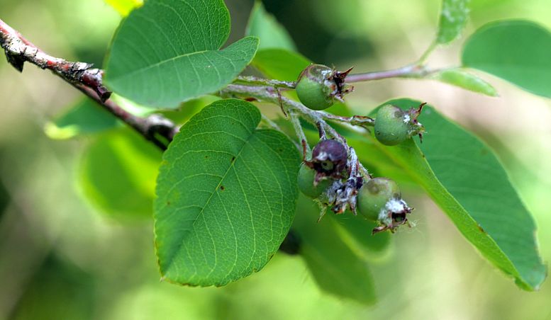
Amelanchier ovalis, a European species
Berberis spp.
?
Misteltoe on pine
Sedum
Sanguisorba minor
Lamium
Sempervivum
?
Second location for Himantoglossum adriaticum, Adriatic Lizard Orchid
Great to get help from this week’s helper Nicolaj in building this year’s compost heap today, involving mostly throwing earth up hill and carrying sacks of seaweed up…I’ll sleep well tonight :)
A promising start to the day with no rain in sight for 4 days and temperature forecast to creep above 20C from Thursday to Saturday…couldn’t be better for working in the garden! The annual effort is ongoing to regain at least some sort of control of my legions of planted and unplanted veggies!
Not garlic scapes as they’re not ready yet, but Chicago onion (Allium cernuum) scapes with Allium scorodoprasum scapes and Scorzonera scapes in tonight’s stir fry!
Scorzonera at top, Allium cernuum (bottom left) and Allium scorodoprasum (bottom right) scapes
Scorzonera at top, Allium cernuum (bottom left) and Allium scorodoprasum (bottom right) scapes
Simon from Arche Noah kindly took me on an early morning botanical excursion to Eichkogel on the outskirts of Vienna during my visit in June 2017. This is a 428m high hill, part of the Northern Limestone Alps…with a rich diverse flora and fauna…here’s a photo album of some of the plants we saw…no time to ID some of the plants we saw…please help if you can…
Two members of the nettle family growing together in the woods, Parietaria officinalis and Urtica dioica.
Salvia nemorosa
Salvia nemorosa
Heracleum
The first surprise…Staphylea, bladder nut!
Hops and Bryonia interweaved
Simon found a snack…
Verbascum
Simon was telling me that the art of constructing stone walls from the limestone was dying out…
The only Allium we saw….vineale?
Campanula
Campanula
Orobanche
Not far from the suburbs
…and there it was…my first wild Dictamnus albus
Dictamnus albus in fruit!
Stephen Barstow 18 hrs · Fallen misteltoe (on pine)
…appeared over the bay this evening at 21:30….muddy waters hugging the coast flowing from the stream that enters the bay after another day of heavy rain, a shadow of the house in the field and waves washing up on the shore! To the “little” things and beings! Happy trails!
Probably the best display of Alliums I’ve seen, a special project this year at the Utrecht Botanical Garden, showing off the diversity in the onion family!
Quite a few of the plants were sourced from the Dutch Allium maestro, Wietse Mellema, without whom (and Gerard van Buiten) I doubt it would have been this special!
Enjoy!